Veröffentlichungen

Widmung von Straßen, Wegen und Plätzen der Stadt Münzenberg für den öffentilichen Verkehr-Am Kreuzberg/Stt. Trais

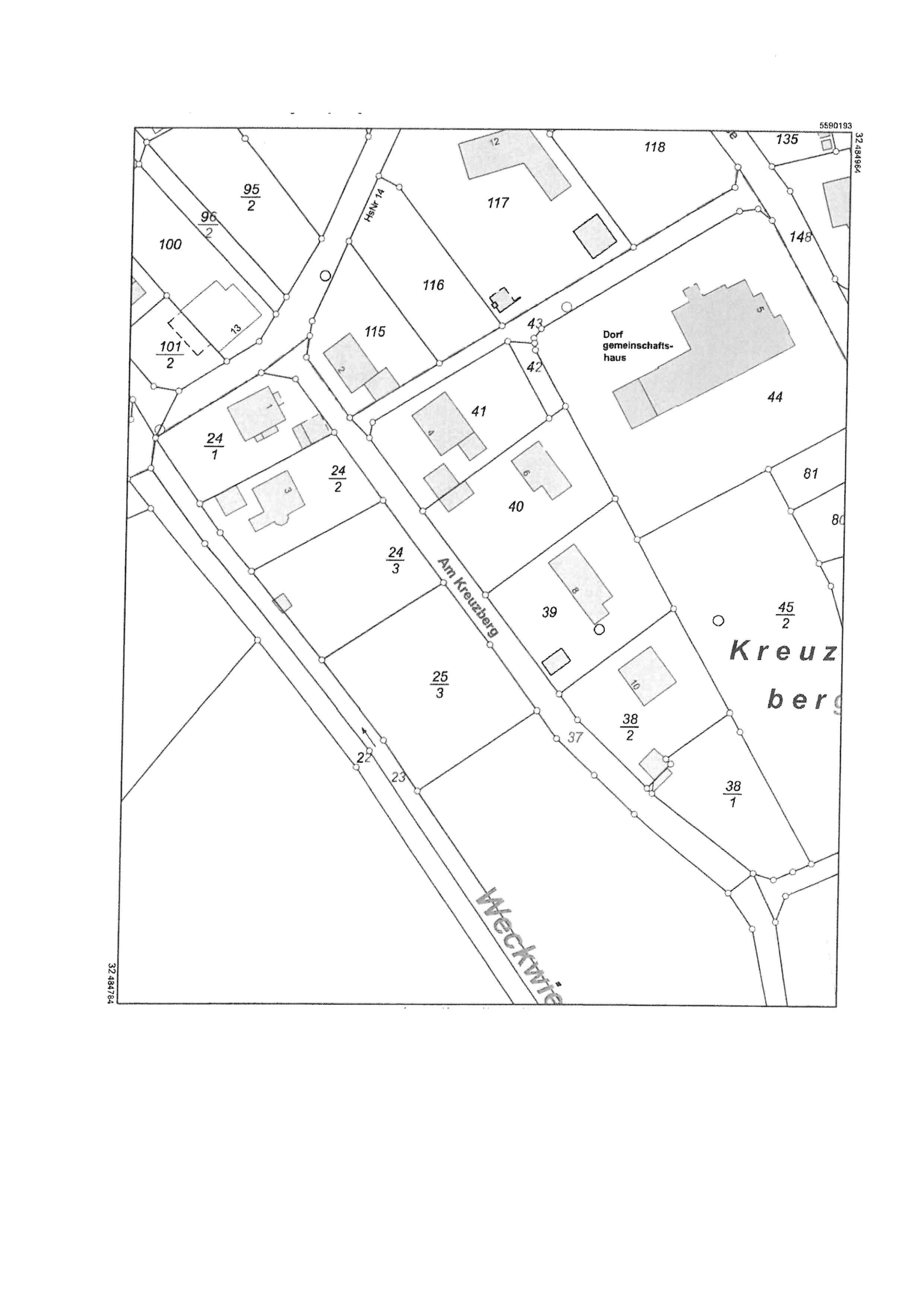
Die Stadtverordnetenversammlung der Stadt Münzenberg hat in ihrer Sitzung am 12.11.2025 gemäß § 4 Hessisches Straßengesetz in der Fassung vom 08.06.2003, zuletzt geändert durch Artikel 2 des Gesetzes vom 28.05.2018, die Widmung der in der beigefügten Anlage 1 genannten Straße „Am Kreuzberg“ als Ortsstraße beschlossen.

Beschränkung der Widmung: keine

Beginn und Ende der Anlage

Die Anlage verläuft auf einer Teilstrecke des Straßenflurstücks 37. Sie beginnt im Norden an der Einmündung in die „Backgasse“ und endet im Süden an der gemeinsamen Grenze der Flurstücke 38/1 und 38/2 (Ausbauende).

Wirksamkeit der Widmung

Die öffentliche Bekanntmachung ist mit Ablauf des Bereitstellungstages auf der städtischen Internetseite www.muenzenberg.de mit einem Hinweis in dem städtischen Informationsblatt (Amtsblatt) Butzbacher Zeitung vollendet. Die Widmung tritt am Tage nach Vollendung der Bekanntmachung in Kraft.

 

Rechtsbehelfsbelehrung

Gegen diese Widmungsverfügung kann innerhalb eines Monats nach öffentlicher Bekanntmachung Widerspruch erhoben werden. Der Widerspruch ist schriftlich oder zur Niederschrift beim Magistrat der Stadt Münzenberg, Hauptstraße 22, 35516 Münzenberg einzulegen.

Münzenberg, den 13.11.2025

gez.
Dr. Isabell Tammer
Bürgermeisterin

Zurück